
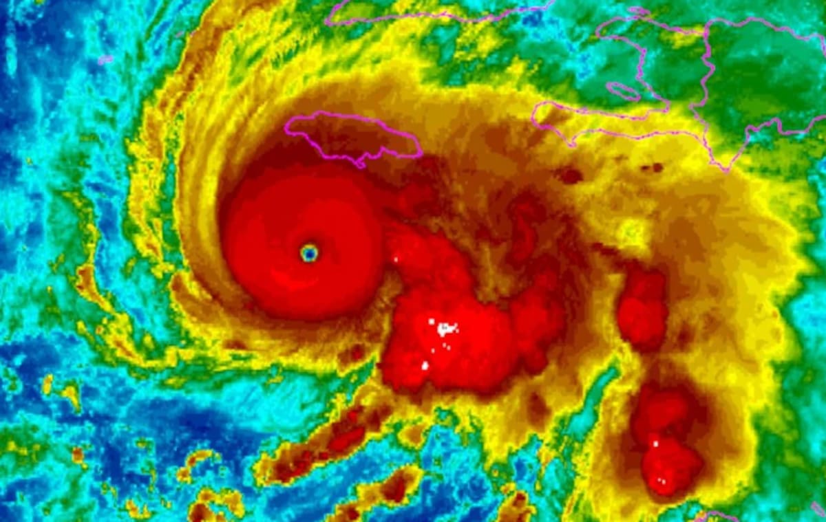
El huracán Melissa tocó tierra este martes en Jamaica como una tormenta catastrófica de categoría 5, la más fuerte que golpeó la isla desde que comenzaron a llevarse registros hace 174 años, con vientos sostenidos que rompieron el umbral de los 320 kilómetros por hora.
En la madrugada del miércoles llegó a la zona este de Cuba, con epicentro en Guantánamo, donde se debilitó y pasó a categoría 3. Autoridades señalaron que el número de evacuados en ciudades como Santiago de Cuba y Holguín asciende a 735.000 personas.
Meteorólogos coinciden en que los daños materiales del huracán Melissa “son incalculables”.
La Organización de las Naciones Unidas (ONU) publicó en sus redes sociales el envío de asistencia para los países del Caribe afectados por el paso del huracán Melissa.
Además de Jamaica y Cuba, el huracán Melissa también provocó destrozos en Haití, Panamá y República Dominicana. A las personas fallecidas y daños materiales, se le sumaron los problemas estructurales, principalmente la escasez de agua potable y las interrupciones en el servicio de luz.
“Será una noche muy difícil para toda Cuba, pero nos vamos a recuperar”, escribió en la red social X el presidente Miguel Díaz-Canel.
El poderoso huracán Melissa tocó tierra en el este de Cuba este miércoles con vientos máximos sostenidos de 195 km/h, después de haberse debilitado a categoría 3 tras asolar Jamaica con violentas ráfagas y lluvias torrenciales.
El Centro Nacional de Huracanes estadounidense (CNH) calificó el huracán de “extremadamente peligroso”. “Melissa tocó tierra en la provincia de Santiago de Cuba, cerca de la localidad de Chivirico”, señalaron desde el organismo.
Las autoridades cubanas informaron que unas 735.000 personas fueron evacuadas, sobre todo en las provincias de Santiago de Cuba, Holguín y Guantánamo
La entrada Qué se sabe del huracán Melissa, tras pasar por Jamaica y llegar a Cuba, este miércoles 29 se publicó primero en DIARIO DIGITAL MORENO MEDIOS.